
Tito de Morais, fundador do projeto ‘Miúdos Seguros na Net’, explica os riscos das plataformas de jogos e das redes sociais para as crianças e reflete sobre as soluções que estão a ser estudadas em todo o mundo.
Deseja receber notificações?

Tito de Morais, fundador do projeto ‘Miúdos Seguros na Net’, explica os riscos das plataformas de jogos e das redes sociais para as crianças e reflete sobre as soluções que estão a ser estudadas em todo o mundo.

Nos EUA, várias famílias estão a processar plataformas de jogos por falhas de segurança que permitem que pedófilos entrem nos chats, fazendo-se passar por crianças. Na Áustrália, as autoridades alertam para um novo esquema: influenciadores que aliciam vítimas na internet, sobretudo meninas, a cometerem atos violentos, contra si ou contra outros.

O YouTube e o Tiktok amplificaram a desinformação que "semeou confusão" durante as cheias de 2024 em Espanha, alcançando mais de 21 milhões de visualizações nas duas plataformas um mês depois do acontecimento, segundo um novo relatório.

O comentador aborda os malefícios da dependência das redes sociais numa altura em que as empresas procuram candidatos com fortes competências digitais.

As narrativas enganosas sobre as identidades digitais são comuns na Internet, à medida que vários países europeus e a própria UE se preparam para as apresentar ao público.

Smartphones, redes sociais e aumento de conexões levaram a uma subida da polarização. “As pessoas estão isoladas nas suas câmaras de eco sem acesso a outras opiniões”, diz investigador.

A China implementou, desde 25 de outubro, uma nova legislação que obriga os influenciadores digitais a comprovar formação académica antes de criarem conteúdos sobre temas sensíveis como medicina, direito, educação e finanças. A medida, anunciada pela Administração do Ciberespaço da China (CAC), tem como objetivo de proteger o público de informações falsas ou prejudiciais, mas […] O conteúdo China impõe formação obrigatória a influenciadores para tratar temas sensíveis nas redes sociais aparece primeiro em Grande Consumo.


A justiça francesa abriu um inquérito preliminar sobre a "facilidade de acesso" de "menores" ao algoritmo do Tiktok, "suscetível de conduzir" os mais "vulneráveis para o suicídio", anunciou a hoje a procuradora de Paris, Laure Beccuau. A decisão judicial seguiu-se a indicações neste sentido do deputado socialista Arthur Delaporte, que presidiu a uma comissão de inquérito, a qual preconizou em setembro a interdição das redes sociais aos menores de 15 anos e um 'recolher obrigatório' para o grupo

A Meta anunciou um conjunto de atualizações para os Grupos do Facebook, focadas em oferecer mais flexibilidade aos administradores na gestão da privacidade e em facilitar a descoberta de novas comunidades. A principal alteração é a introdução da capacidade de converter um grupo, que até agora era privado, num grupo público. Da privacidade para a descoberta Os administradores de grupos privados encontram agora a opção para alterar a privacidade para "público" diretamente na página de definições ...

Canal Alentejo Canal Alentejo - Plataforma independente de Jornalismo, cultura, educação e investigação A startUP Montemor-o-Novo vai acolher no dia 6 de novembro, entre as 9h30 e as 13h30, o workshop “Do Post à Conversão: Como Medir e Melhorar o Impacto”, uma formação dedicada a empreendedores, gestores de marca e criadores de conteúdo que pretendem otimizar estratégias digitais e aumentar resultados. A sessão tem como foco a interpretação […] O Artigo Workshop em Montemor-o-Novo ensina a medir o impacto das publicações nas redes sociais o primeiro a aparecer Canal Alentejo foi escrito por Fabiane Cruz.

As ações da Nvidia subiram 2,2% esta segunda-feira, impulsionadas por uma série de acordos massivos para o fornecimento de chips de inteligência artificial que levaram os analistas de Wall Street a aumentar os seus preços-alvo. A Loop Capital Markets liderou a onda de otimismo, elevando o seu preço-alvo de 237,5 euros (250 dólares) para 332,5 euros (350 dólares), o valor mais alto de Wall Street. Esta projeção implica uma impressionante capitalização de mercado de 8,07 biliões de euros (8,5 ...

Brigitte Macron apresenta queixa por ciberassédio contra dez pessoas que afirmam que a primeira-dama é transgénero ou nasceu homem. Que outros casos há em França?

A campanha “My Friend, Max Hate” infiltrou-se no TikTok para expor como os influencers estão a manipular adolescentes, criando um impacto cultural significativo e conquistando prémios na indústria.


O responsável pelo departamento de 'fact-checking' da agência espanhola EFE, Sergio Hernández, alerta que a manipulação de informação é mais fácil e rápida do que a verificação de factos, que não consegue alcançar o mesmo público. "A verificação é mais lenta do que a manipulação, porque enganar e gerar dúvidas sem provas é mais fácil do que investigar, refutar e esclarecer", diz Sergio Hernández, à agência Lusa. O responsável salienta que a eficácia das negações é limitada, uma vez que muitos ca

Saiu da empresa por motivos pessoais e agora fala, pela primeira vez, da sua experiência

Anúncios direcionados aos utilizadores são a chave para uma nova forma de fazer as redes sociais lucrarem

O estudo procurou compreender a desinformação em três tópicos diferentes, a covid-19, as alterações climáticas e as questões de género, embora os autores afirmem que a sobreposição de temas é muito alta

O ciclo da tarde do Madeira Innovation Talks 2025 (MadIT'25) arrancou com o discurso da engenheira e investigadora, Helena Braga, que abordou o tema das baterias auto-recarregáveis e o trabalho desenvolvido ao longo da sua carreira na área dos materiais e electrólitos sólidos. Segundo a nota de imprensa, a engenheira explicou que "as investigações iniciadas em Los Alamos (EUA) e, mais tarde, em colaboração com o Prémio Nobel da Química John B. Goodenough, permitiram demonstrar que eletrólitos ví

A maior parte da desinformação circula em grupos multilíngues, com forte interligação entre comunidades espanholas e portuguesas, tendo as mensagens falsas um forte caráter conspirativo e antigovernamental, associando-se frequentemente a narrativas negacionistas.

Constante introdução de novos recursos tem permitido que o WhatsApp se mantenha atualizado, proporcionando experiências mais completas e personalizadas

A desinformação nas redes sociais em Portugal e Espanha é sistémica e transnacional, com ligações entre comunidades digitais internacionais, concluiu um relatório do Observatório Ibérico dos Meios Digitais (Iberifier).

A próxima grande atualização de software da Samsung, a One UI 8.5, promete trazer uma série de novidades focadas em otimizar a experiência do utilizador, e uma delas terá um impacto direto na sua carteira. Depois da descoberta de uma funcionalidade para poupar bateria ao restringir a rede, surge agora uma ferramenta pensada para reduzir o consumo de dados móveis em aplicações de redes sociais. O que é o Adaptive Data Saver? A nova funcionalidade, denominada "Adaptive Data Saver" (Poupança de ...

A aplicação de mensagens instantâneas mais popular do mundo oferece agora aos utilizadores a possibilidade de personalizar a interface da app com um tema especial para a época mais assustadora do ano.

Podem nem todas ser de arrepiar, mas o que não falta no dia de Halloween são publicações nas redes sociais por parte das marcas que tentam aproveitar o “dia mais assustador do ano” para marcar mais alguns pontos junto dos seguidores e consumidores. O Millennium BCP, por exemplo, aproveitou para promover o Núcleo Arqueológico da […]

Um estudo desenvolvido pela Science Feedback, organização sem fins lucrativos dedicada à educação científica, procurou fazer uma medição estrutural nas seis plataformas ‘online’, em quatro estados membros da União Europeia: Espanha, França, Polónia e Eslováquia.

A bolsa nova-iorquina encerrou hoje em baixa, com os resultados de vários gigantes tecnológicos e a perspetiva de gastos em massa com o desenvolvimento de inteligência artificial (IA) a arrefecer o otimismo dos investidores.

As conversas nas redes sociais podem tornar-se caóticas, mas a Meta parece empenhada em tornar a experiência no Threads mais agradável e controlada. A plataforma está a introduzir novas funcionalidades que dão aos utilizadores um poder sem precedentes sobre quem pode interagir com as suas publicações, colocando a gestão da conversa firmemente nas suas mãos. Aprovação de respostas: o poder de moderar A principal novidade é a funcionalidade de "Aprovação de Respostas". Com esta ferramenta, o utilizador ...

O Instagram está a testar uma nova funcionalidade que promete dar aos utilizadores um maior controlo sobre o conteúdo que lhes é apresentado. A rede social vai permitir que um grupo selecionado de pessoas ajuste o algoritmo da secção de vídeos curtos, o Reels, indicando de forma mais precisa os temas que desejam ver.A novidade foi divulgada por Adam Mosseri, o diretor do Instagram, através de uma publicação na sua conta do Threads. Segundo o executivo, a nova secção permitirá adicionar e remover ...

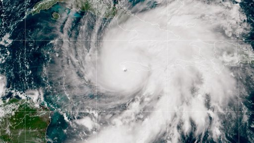
Vídeo viral mostra o que parecem ser quatro tubarões a nadar na piscina de um hotel jamaicano, enquanto as águas da tempestade inundam a área.

Desinformação gerada por Inteligência Artificial (IA) circulou nas redes sociais enquanto o furacão Melissa assolava o Caribe esta semana, com vídeos falsos que mostram tubarões em piscinas ou o aeroporto destruído, segundo a agência Associated Press.


Com a crescente popularidade das redes sociais, os reels tornaram-se numa das formas de conteúdo mais consumidas em plataformas como Instagram, Facebook e YouTube.

A Meta aproveitou a mais recente apresentação de resultados financeiros para partilhar novos números sobre a evolução da Threads, afirmando também que os utilizadores verão mais anúncios ao navegar na rede social.

Há necessidade de mais literacia e capacidade de auto-regulação, para que os indivíduos sejam capazes de utilizar determinadas ferramentas. Mas também precisamos de regulação das plataformas.


De acordo com dados da Datareportal, Elon Musk consolidou-se como a figura mais influente da plataforma, alcançando os 225,1 milhões de seguidores em 2025.

O TikTok é a rede social com mais desinformação, com uma em cada cinco publicações a conterem informação incorreta ou enganadora, concluiu um estudo da ONG Science Feedback.
Numa altura em que uma onda de propostas de proibição das redes sociais para os jovens percorre o mundo, mais de metade dos jovens utilizadores procuram ativamente notícias e informações nas redes sociais.
A menos de dois meses de os menores de 16 anos deixarem de poder criar contas nas redes sociais na Austrália, as plataformas afirmam que continuam a discordar do novo regulamento, mas que acabarão por o cumprir.

Redes sociais não respeitaram as obrigações de transparência previstas no Regulamento dos Serviços Digitais.
As redes sociais são a teia em que se arquitectam mentiras e perigosas distorções da verdade.

Miguel Sousa Tavares defendeu esta quinta-feira, no Jornal Nacional da TVI, a proibição gradual das redes sociais na Europa - "estão a dar cabo da nossa vida". O debate está aberto

Há uma onda de burlas no TikTok. Segundo um estudo, “inúmeras contas” estão a vender produtos baseados em ‘deepfakes’ que incitam à compra, a partir de uma narrativa que pretende envolver o utilizador e chegar ao maior número de pessoas. Com o avanço da Inteligência Artificial, muitos já não conseguem perceber quando imagens e vozes são geradas por IA.

Imagens e vídeos de figuras públicas manipulados por IA anunciam lucros milionários nas redes sociais. Corretoras e plataformas de criptoactivos não autorizadas ludibriam à distância de um clique.

Nuno Mateus Coelho, especialista em cibersegurança, reflete sobre o papel das redes sociais em casos como o do militante de extrema-direita detido esta terça-feira pela Polícia Judiciária (PJ) por incitamento ao ódio e ameaças de morte à jornalista brasileira Stefani Costa

Alberto Gonçalves comenta a sugestão de Miguel Sousa Tavares de proibir as redes sociais.

Bruxelas critica a falta de transparência no acesso aos dados das plataformas, considerando que os sistemas atuais das duas empresas tecnológicas são "excessivamente complexos e pouco funcionais".

As plataformas têm uns dias para proceder às alterações pedidas pela Comissão Europeia. Sem mudanças, coima pode ir até 6% do volume de negócios total.

As duas empresas tecnológicas podem agora responder ao executivo comunitário, o que será tido em conta na decisão final

A Comissão Europeia concluiu, a título preliminar, que o TikTok e a Meta (dona do Facebook, Instagram e WhatsApp) violam as suas obrigações de transparência ao abrigo do Regulamento dos Serviços Digitais (RSD). Bruxelas considera que as plataformas sociais de ambas as empresas dificultam o acesso de investigadores a dados públicos essenciais para avaliar o […]

A Comissão Europeia considerou hoje que as plataformas de redes sociais chinesa TikTok e norte-americana Meta, dona do Instagram e do Facebook, "violaram as obrigações" de transparência ao abrigo da nova lei dos serviços digitais da União Europeia.

Comentador considera mesmo que "a nossa civilização está ameaçada"

A investigadora forense Madalena Sofia Oliveira explica como se lida com um caso como o do jovem de 14 anos que matou a mãe em Vagos no seio de uma família aparentemente sem problemas

Sim, por vezes parece impossível escapar. É difícil garantir a qualidade de toda a informação que nos chega e não podemos controlar os algoritmos das plataformas. Mas devemos treinar o nosso pensamento crítico

Os canais digitais estão a impulsionar os pequenos negócios e os criadores de conteúdos estão a ajudar. Redes como o Instagram e o TikTok são ferramentas em que os “influencers” e as marcas, em Portugal, se estão a apoiar para impulsionar as vendas.

Teorias de conspiração antissemitas são as mais propensas a gerar 'gostos'.

Entre as razões para a escolha da aplicação estão o entretenimento, a partilha de histórias e vivências, a descoberta de novos interesses, o desenvolvimento de novas habilidades e a conexão com marcas, produtos e serviços

"A plataforma facilita a monetização de conteúdo antissemita e alcança milhões de visualizadores", começa por ler-se no estudo.

Donald Trump partilhou um vídeo gerado por uma inteligência artificial em que despeja fezes de um avião de combate sobre manifestantes, na sequência de manifestações contra a sua administração em todo o país.

Neste P24, ouvimos o psicólogo Renato Gomes Carvalho, especialista em Psicologia da Educação e membro da direcção da Ordem dos Psicólogos Portugueses.

A nova função de mapas do Instagram expõe mais do que localizações: revela o quanto já normalizámos a vigilância em nome da conveniência.

As mudanças ocorrem num momento em que a ‘gigante’ das redes sociais enfrenta críticas sobre os danos causados nas crianças pelas plataformas digitais

O marketing de influência é considerado a forma mais eficaz de publicidade em linha, assente na relação de confiança entre influenciadores e seguidores que percecionam os conteúdos publicitários como uma “experiência” ou recomendação pessoal do influenciador.

Uma análise recente da organização europeia sem fins lucrativos AI Forensics revelou que a popular aplicação de redes sociais TikTok amplificou os vídeos pró-militares durante as reuniões da NATO em Haia, em junho.

A exposição excessiva e sem controlo dos adolescentes às redes sociais está a fazer aumentar a depressão, a ansiedade e a criminalidade. Há influenciadores digitais que arrastam milhões de jovens com discursos que promovem a misoginia e a masculinidade tóxica. As ideologias extremistas e a violência contra as mulheres estão a escalar de forma preocupante.

A deliberação foi aprovada com 35 votos favoráveis, cinco contra e nove abstenções, os eurodeputados

Os eurodeputados exprimem preocupação com a "incapacidade das grandes plataformas digitais para proteger menores adequadamente" da pedofilia.

A Dinamarca prepara-se para proibir o acesso às redes sociais a menores de 15 anos. A primeira-ministra dinamarquesa foi ao parlamento garantir que “os ecrãs estão a roubar a infância dos nossos filhos”. Agora, esta é uma discussão que se abre noutros países europeus, e não só, questionando sobre o que fazer para equilibrar a presença dos mais novos nestas plataformas.

A plataforma, criticada por conteúdo prejudicial e estrutura aditiva para jovens, implementa mudanças até ao fim do ano.

Esta atualização surge pouco mais de um ano depois do lançamento, em setembro de 2024, das contas para adolescentes, atribuídas por predefinição a todos os utilizadores entre os 13 e os 18 anos

Regulação inicial das contas para adolescentes já excluía conteúdos de natureza sexual, imagens explícitas ou chocantes.

A plataforma chinesa de comércio online duplicou os lucros na União Europeia em 2024. Já as receitas receitas subiram para 1,7 mil milhões de dólares (1,4 mil milhões de euros)

Vivemos no tempo em que todos sentem que têm algo a dizer, mesmo sem saber, sem estudar, sem pensar. Disparam, opinam, e fazem-se gigantes no ecrã quando não o são na vida real, quando, permitam-me a dureza, talvez não o sejam nunca na vida real

A multinacional considera que o plano da Austrália para proibir o uso destas plataformas por menores de 16 anos não é suficiente para garantir a segurança e apela a maior controlo parental.
Faltam dois meses para que os menores de 16 anos percam o acesso à maioria das contas das redes sociais na Austrália.

Impedir que os menores utilizem a plataforma eliminará os filtros e proteções concebidos para proporcionar um ambiente seguro para as crianças em áreas como o desporto, a música e a aprendizagem

Legislação tem como objetivo combater sinais crescentes de ansiedade, depressão e dificuldades de concentração.

O prematuro acesso das crianças aos telemóveis é uma preocupação cada vez maior e Eduardo Sá alerta para o tipo de conteúdos que são oferecidos, sem estes serem procurados.


Primeira-ministra dinamarquesa não especificou quais as plataformas de redes sociais que seriam sujeitas à proibição proposta.

O Governo da Dinamarca anunciou uma iniciativa legislativa para estabelecer uma idade mínima de 15 anos para o acesso às redes sociais, com o objetivo de proteger a infância de potenciais abusos. Porque “os telemóveis e as redes sociais estão a roubar a infância dos nossos filhos“, explicou a primeira-ministra, Mette Frederiksen, num discurso no […]

Os jovens mais populistas têm maior dificuldade em aceitar opiniões políticas diferentes das suas, conclui um estudo do Politécnico de Coimbra

“Instagram Map” apresenta risco para a segurança das crianças, mas pode ser benéfico para o comércio local. Rede social garante que ativação desta função requer uma dupla verificação de consentimento

A nova função anunciada pela Meta é o "Instagram Map" que permite descobrir novos conteúdos a partir da localização mais recente de amigos e criadores de conteúdo favoritos

Atualização já está disponível em Portugal, mas a partilha de localização está desativada por predefinição

Função permite descobrir novos conteúdos a partir da localização mais recente de amigos e criadores de conteúdo favoritos

A atualização já está disponível em Portugal, mas a partilha de localização está desativada por predefinição. O projeto "Agarrados à Net" alerta para os ricos da nova funcionalidade: "Qualquer pessoa que está a partilhar a sua localização em tempo real está a pôr-se em risco".

Função permite descobrir novos conteúdos a partir da localização mais recente de amigos e criadores de conteúdo favoritos.

A atualização já está disponível em Portugal, mas a partilha de localização está desativada por predefinição, o que significa que o mapa só irá mostrar a localização dos utilizadores que a tenham ativado.

A nova função anunciada pela Meta é o Instagram Map, que permite descobrir novos conteúdos a partir da localização mais recente de amigos. É um risco de segurança, alertam especialistas.

Função permite descobrir novos conteúdos a partir da localização mais recente de amigos e criadores de conteúdo favoritos.

Apesar da função de localização estar desativada por predefinição, Cristiane Miranda explica que "muitas vezes os jovens experimentam muito e podem experimentar sem ter a noção do risco".

O X (ex-Twitter) foi a rede social mais abandonada ao longo do último ano pelos portugueses que utilizam redes sociais. A conclusão é do estudo “Os Portugueses e as Redes Sociais”, da Marktest, que realizou 801 entrevistas entre os dias 3 e 15 de julho. De acordo com o estudo, entre os inquiridos que assumiram […]